Страница 1 из 3
Реконструкция детской площадки.
Добавлено: 23 авг 2017, 14:32
Ser
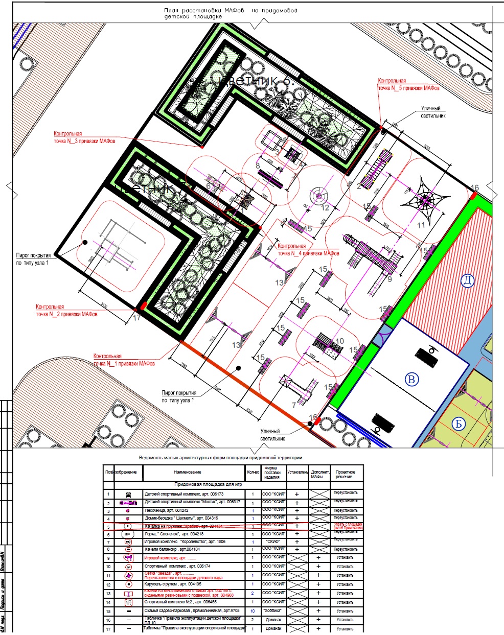
От застройщика получен план реконструкции детской площадки за пределами существующего забора....
Планируют начать работы с 25 августа. Наверное думают что за счет этого изменения (т.е. загромождения всей территории) дети из не детского сада не будут стремится на существующую площадку.
Застройщик готов рассматривать только приемлемые для себя предложения изменения которые можно внести в процессе работ.

- Площадка1.jpg (548.34 КБ) 39928 просмотров

- Площадка2.jpg (606.63 КБ) 39928 просмотров
Re: Реконструкция детской площадки.
Добавлено: 23 авг 2017, 15:32
Semen
Администратор, сделайте, пожалуйста, голосовалку!не дадим это осуществить!!!
Хочу зеленую зону во дворе и спортивные комплексы для подростков!!! Хочу красоты и уюта!!!
Давайте не будем уродовать наш двор дальше!!!
Неужели застройщик и сад думает, что построив нам очередной хлам, мы спокойно будем сидеть на скамеечках, которые он нам поставит??? Нет!!!! Двор наш!!! Мы хотим его себе!!! Идите зарабатывать в другом месте!!!

Re: Реконструкция детской площадки.
Добавлено: 23 авг 2017, 15:41
redbeard
Помню когда мы покупали квартиру в Фили-граде мы смотрели как квартиры расположены относительно детского сада и площадки. Квартиры ближе к детскому саду нам казались менее ликвидные (не каждому приятно, когда перед окнами бегает куча детей и кричит).
В итоге мы получаем что "детский сад" во всем дворе. Я не против детей. Дети это хорошо, но когда детский сад везде - это уже не закрытый двор, а точечная застройка, которую нам продали по цене комфорт класса.
Я подписал акт-приема передачи по своей квартире. ЗАстройщик больше мне ничего не обязан. В том числе и достроить детскую площадку. Предлагаю прогонять представителей застройщика с площадки т.к. он исполнил обязательства перед нами, а строить херню только понижает привлекательность нашего жилья.
Re: Реконструкция детской площадки.
Добавлено: 23 авг 2017, 15:44
Semen
Ещё как снижает стоимость и этот никчемный сад и эта ужасная площадка с железными сараями!!!
Мужики, давайте соберёмся и спилим к

этот забор!!! Достал застройщик со своей дурью!!!
У него только деньги перед глазами, а нам тут жить!!!
Re: Реконструкция детской площадки.
Добавлено: 23 авг 2017, 15:58
Ser
Semen писал(а): ↑23 авг 2017, 15:32
Администратор, сделайте, пожалуйста, голосовалку!не дадим это осуществить!!!
Хочу зеленую зону во дворе и спортивные комплексы для подростков!!! Хочу красоты и уюта!!!
Давайте не будем уродовать наш двор дальше!!!
Неужели застройщик и сад думает, что построив нам очередной хлам, мы спокойно будем сидеть на скамеечках, которые он нам поставит??? Нет!!!! Двор наш!!! Мы хотим его себе!!! Идите зарабатывать в другом месте!!!
Голосовалка добавлена сверху.
Re: Реконструкция детской площадки.
Добавлено: 23 авг 2017, 16:00
candybober
И так половина двора заставлена типовой аляпистой детской мебелью, хотя существует красивая и стильная мебель для детских площадок, которая имеет спокойные цвета и украшает двор, а не портит его. У нас нет никакого дизайна у детской площадки, никакой эстетики, такое чувство, что просто кучу ярких предметов вывалили на площадку, да ещё и часть предметов рассыпалась за её пределы, а застройщик хочет это усугубить и ещё больше раскидать детскую мебель по всему двору. Этот аляпистый хаос испортит внешний вид всего двора.
Двор всегда должен иметь зоны для досуга жильцов разных возрастов, сейчас во дворе и так нет ничего для досуга более взрослых детей и взрослых жильцов, пусть хотя бы останется зона с лавочками с клумбами, где взрослые могут спокойно посидеть.
По-хорошему, лучше бы застройщик думал о том, чтобы ставить приспособления для занятий игровым спортом (типа стола для бадминтона), о зоне для барбекю, о каком-нибудь фонтанчике или игральной зоне для собак - в общем, о том, как улучшить жизнь жильцов. Если уж хочется что-то изменить, то пусть это будет в лучшую для жильцов сторону.
А в этой ситуации получается, что застройщик удовлетворяет исключительно свой интерес сделать удобнее детскому саду в ущерб подросткам, взрослым жильцам, жильцам-пенсионерам, в ущерб внешнему виду двора.
Re: Реконструкция детской площадки.
Добавлено: 23 авг 2017, 16:09
candybober
Semen писал(а): ↑23 авг 2017, 15:44
Ещё как снижает стоимость и этот никчемный сад и эта ужасная площадка с железными сараями!!!
Мужики, давайте соберёмся и спилим к

этот забор!!! Достал застройщик со своей дурью!!!
У него только деньги перед глазами, а нам тут жить!!!
Мне кажется, что забор может быть даже симпатичным, если он будет облагорожен растениями. Деревья посадили и стало чуть лучше, ещё бы вьющееся растение пустили бы по забору, тогда бы он детскую зону отгородил в хорошем смысле слова, возможно, во дворе стало бы тише, безвкусные яркие горки были бы спрятаны от остальной части двора.
Re: Реконструкция детской площадки.
Добавлено: 23 авг 2017, 16:14
Vertical
Застройщик о маленьких детях не думает, тк забрал площадку и сдаёт ее за деньги.
Застройщик о подростках не думает, тк для них нет вообще ничего во дворе!
Застройщик о взрослых не думает, тк нет ни одной беседки, чтобы спртаться от солнца пожилым людям или поиграть на теннисном столе, который нарисован на рендерах.
Застройщик делает все максимально дёшево и отвратительно. Ему плевать на наши потребности, пожелания и требования.
На собрании Александр Сурменев нас убеждал, что мы можем распоряжаться двором как хотим, а теперь в чатах пишут, что он дал обратный ход и говорит, что работы начнут и все тут!
Во как так? Единственный способ противостоять -это стать щитом во дворе и снова звать телевидение!
Будем снижать продажи второй очереди и позорить застройщика везде!
Как сказали жители, с волками жить...
Re: Реконструкция детской площадки.
Добавлено: 23 авг 2017, 16:18
Vertical
candybober писал(а): ↑23 авг 2017, 16:09
Semen писал(а): ↑23 авг 2017, 15:44
Ещё как снижает стоимость и этот никчемный сад и эта ужасная площадка с железными сараями!!!
Мужики, давайте соберёмся и спилим к

этот забор!!! Достал застройщик со своей дурью!!!
У него только деньги перед глазами, а нам тут жить!!!
Мне кажется, что забор может быть даже симпатичным, если он будет облагорожен растениями. Деревья посадили и стало чуть лучше, ещё бы вьющееся растение пустили бы по забору, тогда бы он детскую зону отгородил в хорошем смысле слова, возможно, во дворе стало бы тише, безвкусные яркие горки были бы спрятаны от остальной части двора.
Писали или говорил кто-то , что ребёнок проколол колесо упав возле забора, а мама ребёнка маленького показывал шишку на лбу от крепления забора (((
Забор может быть, но не такой как возле железной дороги, надо детям с детства прививать вкус, а не желание проникнуть туда куда не пускают сотрудники сада в диком делании получить побольше денег
Re: Реконструкция детской площадки.
Добавлено: 23 авг 2017, 16:25
Deirf
Насколько мне видится данный проект не вылезает за площадь, на которой сейчас расположена открытая площадка и "мягкие" зоны, просто они туда больше всего цветного / так на не нравящегося напихают) то есть глобально не сильно больше изуродуют. Все это делается из-за наших же криков и недовольств. За что боролись)
Что-либо хорошее мы, к сожалению, сможем сделать только за свой собственный счет.
Re: Реконструкция детской площадки.
Добавлено: 23 авг 2017, 16:33
Semen
Deirf писал(а): ↑23 авг 2017, 16:25
Насколько мне видится данный проект не вылезает за площадь, на которой сейчас расположена открытая площадка и "мягкие" зоны, просто они туда больше всего цветного / так на не нравящегося напихают) то есть глобально не сильно больше изуродуют. Все это делается из-за наших же криков и недовольств. За что боролись)
Что-либо хорошее мы, к сожалению, сможем сделать только за свой собственный счет.
Вылезает на целую зону, которая ближе к 1 корпусу.
А ходить где??? У меня жена каблуки в этом покрытии оставит и нос разобьёт упав на 'мягкое покрытие', а бабушки-дедушки не могут быстро ходить и будут сбиты детишками.
Да и вообще это травмоопасно!!! Ну нельзя делать друг на друге все!!! Я уже писал в Роспотребнадзор и напишу ещё хоть сто раз! Я за здоровье детей! И против забора, который портит детскую психику! Одно дело забор в саду, там до забора десятки метров, а тут Садовские внутри по периметру, в наши вокруг периметра- режимный объект и говорить им друг с другом нельзя

Re: Реконструкция детской площадки.
Добавлено: 23 авг 2017, 16:58
Deirf
Semen писал(а): ↑23 авг 2017, 16:33
Deirf писал(а): ↑23 авг 2017, 16:25
Насколько мне видится данный проект не вылезает за площадь, на которой сейчас расположена открытая площадка и "мягкие" зоны, просто они туда больше всего цветного / так на не нравящегося напихают) то есть глобально не сильно больше изуродуют. Все это делается из-за наших же криков и недовольств. За что боролись)
Что-либо хорошее мы, к сожалению, сможем сделать только за свой собственный счет.
Вылезает на целую зону, которая ближе к 1 корпусу.
А ходить где??? У меня жена каблуки в этом покрытии оставит и нос разобьёт упав на 'мягкое покрытие', а бабушки-дедушки не могут быстро ходить и будут сбиты детишками.
Да и вообще это травмоопасно!!! Ну нельзя делать друг на друге все!!! Я уже писал в Роспотребнадзор и напишу ещё хоть сто раз! Я за здоровье детей! И против забора, который портит детскую психику! Одно дело забор в саду, там до забора десятки метров, а тут Садовские внутри по периметру, в наши вокруг периметра- режимный объект и говорить им друг с другом нельзя
ну вылезают на зону, где было собрание максимум, да. но хотя бы зона от угла 2А и далее остается. А то я по крикам подумала, что везде и всюду у нас площадка, и что на очередного слоника / песика / коняшку я уже буду натыкаться выходя из подъезда.
я поддерживаю всех против и подпишу все, что угодно, а также скинусь на площадку за счет жильцов, если будет нужно.
Re: Реконструкция детской площадки.
Добавлено: 23 авг 2017, 17:03
yard
Я считаю, что существующий сетчатый забор вполне себе ОК, просто нужно пустить по нему вьющиеся растения - и тогда через пару лет будет аккуратно всё и плюсом куча зелени.
А то все тут кричат, что забор ужасный. Вопрос - а какой забор вы хотите вместо него?
И конструкции детские тоже ок вполне. Да, они цветастые. А какие вы хотите, из красного дерева?? Решение заключается в том, что эти детские цветастые конструкции не должны находиться по всей территории двора.
Детскую площадку выносить за существующий забор - это уже перебор. И так довольно немаленькая площадка.
Нужно подумать о зонах отдыха для взрослых.
Это всё моё субъективное мнение.
Re: Реконструкция детской площадки.
Добавлено: 23 авг 2017, 17:51
Marianna
Нет времени много писать, что ОНИ сума сошли!!!!! Получается это не двор, а детский сад и ВСЕ!!!!! Мало того, что нет нормальной площадки, чтобы погулять с собакой, так еще хотят и всех людей кто перерос детский сад лишить двора!!!!!!!! Товарищи соседи, давайте что то делать с этим беспределом!!!!!!
Re: Реконструкция детской площадки.
Добавлено: 23 авг 2017, 19:12
Eva
Трэш! Да я не понимаю, зачем забор вокруг дворовой территории! Зачем забор вокруг забора? У нас и так закрытый двор. По мне пусть весь этот экпоцентр детского инвентаря снесут. Все самим купить. Это нереально, конечно. Хоть привести в соответствии с рэндорами. Должен же быть проект, по которому рэндеры отрисовывали и продавали нам. Стол теннисный в конце концов самим можно докупить.
"Это ваш двор, делайте, как вам удобно. Снесите этот забор.." Слов нет, омерзительно.
Re: Реконструкция детской площадки.
Добавлено: 24 авг 2017, 00:27
Faina
Какое же ГОВ...О наш застройщик и вся эта кучка представителей, которая бегает и отбрехивается от жителей!!!
А как не стыдно детскому саду!!! Они прикрываются детьми, а сами зарабатывают огромные деньги!!!
Зачем нам эта нелепая площадка на проходе и 7 ветрах??? Где детям будет побегать и покататься на самокатах??? Где подросткам посидеть на лавочках с соседками???
Застройщик, почему вы к нам так относитесь???? Это за наши деньги все строится!!!! Мы имеем право голоса!!!
Вот смотрела сегодня на воспитателей на прогулке. Они впервые за все время играли с детьми, а так все время только катали посередине на качелях.
Люди!!! Одумайтесь!!! За что вы платите 45 тысяч в месяц???? Рядом множество детских садов с ценами значительно ниже, также несколько государственных в пойме, мы в один из них ходим и полностью довольны!!!
Вы сегодня ходите в детский сад во дворе и отжимаете у своих соседей площадку, а если у вас в жизни что-то изменится и вам придётся на ней гулять, но она будет за забором и под замком!!!
Одумайтесь противники и застройщик!!!
Я против!!!! Против!!! Против!!! этого проекта!!!!
Re: Реконструкция детской площадки.
Добавлено: 24 авг 2017, 11:19
Евгения Нистратова
Я конечно могу ошибаться, но сегодня утром я насчитала на площадке детского сада 5 песочниц. на кой черт они там нужны в таком количестве. Вообще это очень напоминает выставку-продажу оборудования для детских площадок.
Я против проекта реконструкции, также против существующего уродства, которое кроме всего прочего не учитывает потребностей детей старше 5 лет.
Re: Реконструкция детской площадки.
Добавлено: 24 авг 2017, 14:19
aktiv
Писать не люблю, поэтому кратко-ПРОТИВ !!!
Подпишусь под письмом, которое обсуждают в чате. Ребята, выложите его на форум.
Re: Реконструкция детской площадки.
Добавлено: 24 авг 2017, 14:22
зайчик
aktiv писал(а): ↑24 авг 2017, 14:19
Писать не люблю, поэтому кратко-ПРОТИВ !!!
Подпишусь под письмом, которое обсуждают в чате. Ребята, выложите его на форум.
Полностью согласна с мужем!
Против реконструкции!!! Подпись +
Re: Реконструкция детской площадки.
Добавлено: 24 авг 2017, 14:53
ZXSpectrum
Соседи подготовили письмо в адрес MR Group (во вложении).